Aéroport international Logan de Boston

L’aéroport international Logan de Boston (nom complet en anglais : General Edward Lawrence Logan International Airport), (code IATA : BOS  code OACI : KBOS), est un aéroport américain desservant la ville de Boston dans l'État du Massachusetts. En 2011, il était le 19e aéroport des États-Unis et 48e mondial, ayant transporté 28 866 313 passagers pour 55 compagnies aériennes.

Aéroport international Logan de Boston
Vue aérienne de l'aéroport Logan.
Vue aérienne de l'aéroport Logan.
Localisation
Pays Drapeau des États-Unis États-Unis
Ville Boston (Massachusetts)
Coordonnées 42° 21′ 47″ nord, 71° 00′ 23″ ouest
Altitude 6 m (20 ft)
Informations aéronautiques
Code IATA BOS
Code OACI KBOS
Code FAA BOS
Nom cartographique Logan International Airport
Type d'aéroport Civil
Gestionnaire Massachusetts Port Authority (Massport)
Pistes
Direction Longueur Surface
04L/22R 2 396 m (7 861 ft) asphalte
04R/22L 3 050 m (10 007 ft) asphalte
09/27 2 134 m (7 001 ft) asphalte
14/32 1 524 m (5 000 ft) asphalte
15L/33R 779 m (2 556 ft) asphalte
15R/33L 3 073 m (10 082 ft) asphalte
Géolocalisation sur la carte : Massachusetts
(Voir situation sur carte : Massachusetts)
BOS
Géolocalisation sur la carte : États-Unis
(Voir situation sur carte : États-Unis)
BOS

Plus grand centre de transport de la Nouvelle-Angleterre, il s'étend sur près de 1 000 hectares (10 km2) dans le quartier d'East Boston. Il s’est considérablement étendu au cours des années, y compris par un polder de km2 sur le port de Boston. L'aéroport comprend six pistes, vingt-trois kilomètres de taxiways ainsi que cinq terminaux. Il possède sa propre police d’État, une chapelle œcuménique, Notre-Dame des Airs (Our Lady of the Airways).

Il fut d’abord appelé simplement Boston Airport lors de son inauguration le . Le nom Logan lui fut donné en 1956 en l'honneur du général Edward Lawrence Logan (en), un héros de la guerre hispano-américaine originaire de Boston.

Cet aéroport avait été prévu pour 10 millions de passagers par an, mais il en a reçu 28 millions en 2011, soit 80 000 par jour. Mal surveillé, il emploie beaucoup d'intérimaires[1].

Deux avions partis de cet aéroport, le vol 11 American Airlines et le vol 175 United Airlines, les deux sur des trajets Boston - Los Angeles, ont percuté l'une et l'autre tour du World Trade Center le 11 septembre 2001.

Histoire

Photo aérienne aéroport de Logan
Noddle's Island est maintenant une partie de l'aéroport de Logan.

Initialement appelé aéroport de Boston, Logan a ouvert le , et a été principalement utilisé par les forces armées du Massachusetts les Air Guard et l'Army Air Corps. À cette époque, il était aussi connu sous le nom de Jeffery Field. Les premiers vols passagers commerciaux réguliers ont été effectués par Colonial Air Transport (compagnie racheté en 1930 par AVCO pour fonder American Airlines entre Boston et New York en 1927.

Durant les années 1940 l'aéroport a été agrandi de 730 ha pris sur la décharge du port de Boston, prises sur Noddle'S et Apple islands. En 1943, l'État rebaptise l'aéroport Général Edward Lawrence Logan International Airport du nom d'un officier de la guerre hispano-américaine originaire de South Boston[2]. En 1952, l'aéroport est devenu le premier aux États-Unis avec une connexion de transport rapide indirect.

En avril 1957 le guide officiel de l'aéroport indique 49 départs par semaine sur American Airlines, 31 Eastern Air Lines, 25 Northeast Airlines (en), 8 United Airlines, 7 TWA intérieur, 6 National Airlines, 6 Mohawk, 2 TCA et un Provincetown-Boston. En outre TWA avait neuf départs par semaine vers ou en provenance de l'Atlantique, Pan Am en avait 18, Air France 8, BOAC 4 et LAI 4[3].

L'ère du jumbo-jet commence à Logan durant l'été 1970, lorsque Pan Am inaugure un vol quotidien en Boeing 747 à destination de l'aéroport de Londres Heathrow. En 2012 les vols sans escale à destination de Londres sont effectués par British Airways, American Airlines, Delta Air Lines et Virgin Atlantic. Cependant, American Airlines met fin à ses vols Boston-Heathrow le [4]. Dans le cadre de Oneworld, British Airways partenaire d'American Airlines, commence l'exploitation d'un quatrième vol quotidien à l'aide d'un Boeing 747 le même jour.

Lorsque terminal E ouvre ses portes en 1974, Logan devient le second aéroport américains pour les arrivées internationales. Depuis le nombre de voyageurs internationaux à l’arrivée Logan a triplé. Les vols long-courriers internationaux sont le marché le plus dynamique à Logan. L'augmentation du trafic passagers a conduit la Massachusetts Port Authority (Massport) à se lancer dans un projet de renouvellement de l'aéroport principal appelé le « Projet de modernisation Logan » de 1994 à 2006. Le projet comprenait une nouvelle aire de stationnement, un nouvel hôtel, des trottoirs roulants, des extensions des terminaux et des améliorations et d'un réseau routier à deux vitesses qui sépare les circulations routières à l'arrivée du départ[2].

La relation de Massport avec les communautés voisines ont été tendues depuis le milieu des années 1960[5], lorsque l'agence a pris le contrôle d'une parcelle de terrain résidentiel et d'une zone de pêche populaire à proximité de la côte nord-ouest de l'aérodrome. Ce projet a été entrepris pour étendre la piste 15R/33L, qui devint plus tard la plus longue piste de Logan[5]. Les habitants du quartier, connu sous le nom Wood Island, ont été expulsés. L'opposition du public a atteint son paroxysme lorsque les habitants se couchent dans les rues pour bloquer et empêcher les bulldozers et les camions d'approvisionnement d'atteindre la zone de construction prévue.

La piste 14/32 a été mise en service le . C'est la première extension de la piste principale de Logan en plus de quarante ans. Cette piste avait été programmée en 1973, mais a été retardée par les tribunaux[6]. Selon les archives de Massport, le tout premier appareil à utiliser la nouvelle piste était un Embraer ERJ 145 de Continental Express qui atterrit sur la piste 32, le matin du .

En avril 2007, la Federal Aviation Administration a approuvé la construction d'une voie de circulation de 2 830 mètres parallèlement aux pistes 4R/22L et 4L/22R. L'annonce du projet a mis en colère les riverains[7]. En 2009, la voie de circulation ouvre en avance sur le calendrier et le budget prévus[8]. Pour ne pas confondre cette voie de circulation avec une piste Taxi est écrit en grandes lettres jaunes à chaque extrémité de la voie.

Le premier Airbus A380 a atterri à l'aéroport Logan le pour des vérifications de compatibilité. L'avion a été également transporté un sous-marin à son fabricant pour une utilisation ultérieure dans la recherche du vol Air France 447[9]. L'aéroport sert depuis comme terrains de déroutement pour les vols effectués en A380. Aucune compagnie aérienne n'effectue de service régulier en A380 en 2013 au départ de Logan.

Situation

Carte des aéroports au Massachusetts

Boston
Hyannis
Hyannis
Nantucket
Nantucket
Provincetown
Provincetown
Martha's Vineyard
Martha's Vineyard
Worcester
Worcester
New Bedford
New Bedford

Infrastructures

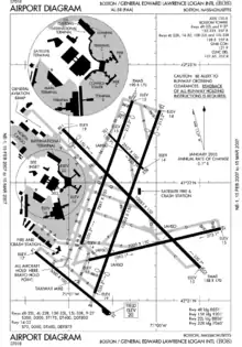
Carte de l'Aéroport de Logan
Carte de l'aéroport de Logan édité par la FAA.

Situé en partie à East Boston et en partie sur le territoire de la ville de Winthrop, sur le port de Boston[10], l'aéroport international Logan couvre une superficie de 965 ha, qui contient six pistes en asphalte : les deux premières pistes parallèles 04L/22R (2 396 m par 46 m) et 04R/22L (3 050 m par 46 m), l'autre groupe de piste parallèles la 15L/33R (779 m par 30 m) et 15R/33L (3 073 m par 46 m) puis la 09/27 (2 134 m par 46 m) et la 14/32 (1 524 m par 30 m).

Pour les procédures d'atterrissage l'ILSets disponible en 04R, 15R, 22L, 27 et 33L, la 04R de la piste en cours de certification pour les opérations d'atterrissage aux instruments de catégorie III[N 1]. Les autres pistes ont des ILS sont certifiés CAT I[N 2],[11].

L'aéroport de Logan dispose de deux installations de fret : Cargo Nord qui est adjacent au terminal E et Cargo Sud adjacent aux terminaux A et B. Cargo Nord est également l'emplacement de plusieurs hangars de maintenance, y compris ceux qui sont exploités par American Airlines, Delta Air Lines, et JetBlue.

Terminaux

L'aéroport international Logan dispose de 103 postes de stationnements[12] répartis entre quatre terminaux aéroportuaires A, B, C et E. Tous les terminaux sont reliés par des navettes de pré-sécurité, ainsi qu'entre les terminaux A, B et E via des trottoirs roulants pré - sécurité[13]. Des tapis roulants relient également les bornes d'un parking central conçu pour le service consolidé entre les quatre bornes et le garage lui-même[12]. Le programme de concession à l'aéroport est développé, loué et géré par AirMall USA pour les aérogares B et E et Westfield Concession Management Inc. pour les aérogares A et C.

Terminal A

Hall du terminal A de nuit.
Terminal A vu de l'extérieur.

Le terminal A, qui a remplacé un bâtiment des années 1970 de l'ère Minoru Yamasaki conçu et occupé par la défunte Eastern Air Lines[14], ouvre aux passagers le . Le terminal, conçu par Hellmuth, Obata & Kassabaum, est divisé en un terminal principal (portes A1-A12) et un bâtiment satellite (portes A13-A22). Le terminal principal et le bâtiment satellite sont reliés par un passage souterrain[15]. Le Terminal A abrite les salons d'honneurs des compagnies aériennes United Airlines (salons United Club et Delta Air Lines (Delta Sky Club). Ce dernier est situé dans le bâtiment satellite au 3e étage, qui est utilisé exclusivement pour le Sky Club.

Le bâtiment est le premier terminal de l'aéroport aux États-Unis à être certifié Leadership in Energy and Environmental Design (LEED) pour la conception respectueuse de l'environnement par le US Green Building Council. Parmi les caractéristiques de l'immeuble sont le toit et les fenêtres réfléchissant la chaleur, les robinets à débit réduit et des urinoirs sans eau, et la filtration des eaux pluviales[16].

Terminal B

Terminal B.

Le terminal B, qui a été conçu par John Carl Warnecke & Associates et Desmond & Lord, Inc., a ouvert en 1974[17]. Ce terminal a été réalisé pour US Airways en 1974 et la jetée pour American Airlines en 1975[17]. Le terminal est demeuré pratiquement inchangé jusqu'à ce qu'US Airways étende ses activités à l'aéroport de Logan en 1979 et des améliorations sont conçues et construites par HNTB Corporation en 1980[17]. De 1980 à 2000, de nombreux petits projets, y compris l'amélioration des sièges des passagers, les concessions des expansions et des salons de passagers ont été réalisées[17]. Les installations ont été rénovées en 1995 et conçues par Gresham, Smith & Partners[18], et les installations de US Airways ont été rénovées en 1998 et 2000 et conçues par URS Corporation avec Turner Construction.

Le terminal B est divisé en deux bâtiments nord et sud, avec un parc de stationnement situé entre les deux bâtiments. Les portes d'embarquement de l'édifice sud (principalement occupé par US Airways et abritant un Club US Airways) sont divisées en trois groupes : B1-B3, B4-B14, et B15-B21. Les portes B4-14 et B15-B21 étant reliées par un passage de post-sécurité. Les portes du bâtiment nord (principalement occupé par American Airlines, qui exploite un Admirals Club dans le bâtiment du terminal) sont divisées en deux groupes : B22-B36 et B37-B38. Les portes B22-36 sont généralement utilisées par American Airlines, tandis que les portes B37 et B38 le sont par Virgin America[15].

Le terminal B est actuellement en cours de rénovation et devrait être achevé dans le courant de 2014. Cette rénovation se caractéristise par une passerelle de sécurité raccordant les terminaux B Nord et Sud ainsi qu'un point de contrôle de sécurité renforcé reliant les 38 portes du terminal B. La rénovation comprendra également 24 nouveaux points contrôle des billets, huit nouvelles salles d'embarquement, un nouvel espace de concession et un nouveau carrousel à bagages. Une fois ce projet terminé, United Airlines déplacera au terminal B Nord toutes ses opérations actuellement effectuées aux terminaux A et C, ce qui permettra à Delta Air Lines de se développer dans le terminal A et JetBlue et son partenaire régional Cape Air de se développer dans le terminal C[19].

Terminal C

Terminal C.

Le terminal C ouvre en 1967, conçu par le cabinet Perry, Shaw, Hepburn et Dean. Il a été rénové en 1987, en 2002 et en 2005[18]. Il a trois groupes de portes : C11-C21, C25-C36 et C40-C42[15]. Les deux postes de contrôle de sécurité C des terminaux donnant accès aux portes C11-C21 sur la gauche et aux portes C25 à C36 sur la droite ont été remplacés par un poste de contrôle commun le [20]. Les portes du terminal D (trois portes à l'extrémité nord du terminal C) ont été renumérotées dans le cadre du terminal C le [21].

Le terminal est utilisé par Cape Air, United Airlines et JetBlue Airways principalement. JetBlue et Massport ont discuté d'un « remaniement » des compagnies aériennes afin que JetBlue et son partenaire Cape Air puisse acquérir la totalité du terminal C quand United déménagera au terminal Nord[19].

Les salons de l'United Service Organizations de l'aéroport sont situés dans la zone de récupération des bagages du terminal C, au niveau inférieur. Ils proposent des équipements les plus typiques que d'autres marchés aussi importants du Grand Boston. Le terminal C abrite également un Club United.

Terminal E

Le terminal E, également connu sous le nom de terminal international John A.Volpe (de l'ancien gouverneur du Massachusetts et secrétaire américain aux Transports de l'administration Nixon), sert de terminal international de l'aéroport Logan. Le terminal a été achevé en 1974 et conçu par Kubitz & Papi, Inc. et Desmond & Lord, Inc. Massport termine le projet de modernisation du terminal E en août 1997, projet qui améliore les installations pour les passagers. Le projet international de la passerelle, conçu par Skidmore, Owings and Merrill et DMJM aviation, a ajouté 37 000 m2 au terminal en 2003, et l'ensemble du projet est achevé en 2008[18].

À part les portes louées par Southwest Airlines et Sun Country Airlines, toutes les portes dans le terminal sont à utilisation commune, ce qui signifie que les portes sont attribuées principalement en fonction des besoins opérationnels. Tous les guichets et les portes du terminal E sont partagés entre les transporteurs internationaux, à l'exception de ceux loués par Southwest Airlines, AirTran Airways, et Sun Country Airlines. Dans le terminal se trouvent plusieurs des salons des compagnies aériennes : Gold Circle Lounge d'Aer Lingus[22], Air France Lounge d'Air France, First Lounge and Terraces Lounge de British Airways, Senator Lounge and Business Lounge de Lufthansa et Clubhouse Lounge de Virgin Atlantic[23].

Le troisième niveau du terminal E est utilisé pour les départs, le second pour le contrôle des passeports et le rez-de-chaussée pour les arrivées et les douanes. Le Service des douanes et de la protection des frontières des États-Unis situé dans le terminal E est capable de traiter plus de 2 000 passagers par heure.

Compagnies et destinations

CompagniesDestinationsRefs
Drapeau de l'Irlande Aer LingusDublin, Shannon[24]
Drapeau du Canada Air CanadaEn saison : Calgary [25], Toronto (Pearson), Vancouver[26]
Drapeau du Canada Air Canada ExpressHalifax (Stanfield), Montréal (P.-E.-Trudeau), Ottawa (Macdonald-Cartier), Toronto (Pearson)[26]
Drapeau de la France Air FranceParis-Charles de Gaulle[27]
Drapeau des États-Unis Alaska AirlinesLos Angeles, Portland (Oregon), San Diego, San Francisco, Seattle-Tacoma[28]
Drapeau des États-Unis Allegiant AirEn saison : Asheville [29], Fort Walton-Nord Floride [29], Grand Rapids-G. R. Ford [29], Knoxville-McGhee Tyson (en) [29][30]
Drapeau des États-Unis American AirlinesAustin-Bergstrom [31], Charlotte-Douglas, Chicago-O'Hare, Dallas-Fort Worth, Londres-Heathrow [32], Los Angeles, Miami, New York-John F. Kennedy, New York-LaGuardia, Philadelphie, Phoenix-Sky Harbor, Washington-Reagan En saison : Cancún, Grand Cayman-O. Roberts, Montego Bay-Donald Sangster, Nassau L. Pindling, Providenciales, Punta Cana[33]"
Drapeau des États-Unis American EagleHarrisburg (Middletown), Indianapolis [34], Raleigh-Durham [35], Rochester (État de New York), Syracuse-Hancock En saison : Key West [36], Wilmington (en) [35][33]
Drapeau de l'Autriche Austrian AirlinesEn saison : Vienne-Schwechat [37][37]
Drapeau du Portugal Azores AirlinesPonta Delgada-Jean Paul II, Terceira-Lajes[38]
Drapeau des États-Unis Boutique AirMassena (NY) (en)[39]
Drapeau du Royaume-Uni British AirwaysLondres-Heathrow[40]
Drapeau du Cap-Vert Cabo Verde AirlinesPraia, Sal-A. Cabral[41]
Drapeau des États-Unis Cape AirAugusta-State (en), Bar Harbor-Comté de Hancock (en), Barnstable (Hyannis) (en), Lebanon (en), Martha's Vineyard (en), Nantucket Memorial (en), Portland (Maine), Provincetown (en), Rockland (comté de Knox) (en), Rutland-Vermont du Sud (en), Saranac Lake (Adirondack) (en)[42]
Drapeau de Hong Kong Cathay PacificHong Kong[43]
Drapeau du Panama Copa AirlinesPanama-Tocumen[44]
Drapeau des États-Unis Delta Air Lines En saison :*[47]
Drapeau des États-Unis Delta Connection En saison :[47]
Drapeau d'Israël El AlTel Aviv - Ben Gourion[48]
Drapeau des Émirats arabes unis EmiratesDubaï[49]
Drapeau des États-Unis Frontier AirlinesMiami, Orlando, Raleigh-Durham, San Juan - Luis-Muñoz-Marín [50] En saison : Denver, Philadelphie [51][52]
Drapeau de la Chine Hainan AirlinesPékin-Capitale, Shanghai-Pudong (suspendus)[53]
Drapeau des États-Unis Hawaiian AirlinesHonolulu[54]
Drapeau de l'Espagne IberiaMadrid-Barajas[55]
Drapeau de l'Islande IcelandairReykjavik-Keflavík[56]
Drapeau de l'Italie ITARome Léonard-de-Vinci/Fiumicino
Drapeau du Japon Japan AirlinesTokyo-Narita[57]
Drapeau des États-Unis JetBlue En saison :[59]
Drapeau des Pays-Bas KLMAmsterdam[60]
Drapeau de la Corée du Sud Korean AirSéoul-Incheon[61]
Drapeau du Brésil LATAM BrasilSão Paulo/Guarulhos[62]
Drapeau de l'Espagne LevelBarcelone-El Prat[63]
Drapeau de l'Allemagne LufthansaFrancfort, Munich-F. J. Strauß[64]
Drapeau du Canada Porter AirlinesToronto (Billy Bishop)[65]
Drapeau du Qatar Qatar AirwaysDoha-Hamad[66]
Drapeau du Maroc Royal Air MarocCasablanca-Mohammed-V[67]
Scandinavian AirlinesCopenhague-Kastrup[68]
Drapeau des États-Unis Silver AirwaysEn saison : Bar Harbor-Comté de Hancock (en)[69]
Drapeau des États-Unis Southwest AirlinesBaltimore-T. Marshall, Chicago-Midway, John Glenn Columbus, Denver, Fort Lauderdale-Hollywood, Houston-W. P. Hobby, Nashville, Lambert-Saint Louis En saison : Austin-Bergstrom, Dallas-Love Field, Indianapolis , Milwaukee-General Mitchell , La Nouvelle-Orléans-L. Armstrong, Orlando, Tampa[70]
Drapeau des États-Unis Spirit AirlinesAtlanta H.-Jackson, Fort Lauderdale-Hollywood, Las Vegas-Harry-Reid, Myrtle Beach, La Nouvelle-Orléans-L. Armstrong, Orlando, Raleigh-Durham, San Juan - Luis-Muñoz-Marín En saison : Baltimore-T. Marshall, Chicago-O'Hare, Cleveland-Hopkins, Dallas-Fort Worth, Détroit, Fort Myers, Tampa, Palm Beach[71]"
Drapeau des États-Unis Sun Country AirlinesEn saison : Madison (comté de Dane) [72], Minneapolis-Saint-Paul[73]
Drapeau de la Suisse Swiss International Air LinesZurich[74]
Drapeau du Portugal TAP Air PortugalLisbonne-H. Delgado, Ponta Delgada-Jean Paul II [75][76]
Drapeau des États-Unis Tradewind AviationComté de Westchester[77]
Drapeau de la Turquie Turkish AirlinesIstanbul[78]
Drapeau des États-Unis United AirlinesChicago-O'Hare, Denver, Houston-George Bush, Los Angeles, Newark-Liberty, San Francisco, Washington-Dulles[79]
Drapeau des États-Unis United ExpressChicago-O'Hare, Newark-Liberty, Washington-Dulles[79]
Drapeau du Royaume-Uni Virgin AtlanticLondres-Heathrow[80]
Drapeau du Canada WestJetEn saison : Calgary [81][82]
Drapeau du Canada WestJet EncoreToronto (Pearson)[82]

Édité le 03/02/2020

Statistiques

Trafic en passagers

Voir la requête brute et les sources sur Wikidata.

Destinations les plus fréquentées

Destinations internationales à partir de Logan (janvier-décembre 2012)[83]
Rang Aéroport Passagers Variation
2010/2011
Compagnies
1 Londres Heathrow 1 008 144 en diminution00.6 % American, British Airways, Delta, Virgin Atlantic
2 Francfort 536 295 en augmentation01.2 % Lufthansa
3 Paris-Charles-de-Gaulle 457 029 en augmentation01.6 % Air France, American, Delta
4 Toronto (Pearson) 311 586 en diminution01.7 % Air Canada, Delta
5 Amsterdam-Schiphol 288 720 en augmentation00.1 % Delta
6 Dublin 234 358 en augmentation04.0 % Aer Lingus
7 Rome Fiumicino 192 384 en augmentation04.0 % Alitalia
8 Munich 154 812 en augmentation00.9 % Lufthansa
9 Zurich 144 687 en diminution01.0 % Swiss
10 Tokyo-Narita 108 144 en stagnation 00.0 % Japan Airlines
Destinations intérieures à partir de Logan (février 2012 - janvier 2013)
Rang Aéroport Passagers Compagnies
1 Chicago (O'Hare) 857 000 American, JetBlue, Spirit, United
2 Atlanta 725 000 Delta, AirTran
3 Washington-National 701 000 JetBlue, US Airways
4 San Francisco 552 000 JetBlue, United, Virgin America
5 Baltimore-Washington 528 000 AirTran, JetBlue, Southwest
6 New York-JFK 514 000 American, Delta, JetBlue
7 Charlotte 503 000 JetBlue, US Airways
8 Dallas-Fort Worth 489 000 American, JetBlue, Spirit
9 Los Angeles 488 000 American, JetBlue, United, Virgin America
10 Philadelphie 461 000 US Airways

Vols cargos

Logan est un aéroport de taille moyenne en termes de fret avec 684 875 tonnes en 2012, ce qui le situe au 10e rang des aéroports américains en termes de fret. Il gère de nombreuses compagnies aériennes de fret américaines, dont ABX Air, DHL, Federal Express et UPS Airlines. Il possède également des bureaux de fret de nombreux transporteurs de fret internationaux, notamment British Airways Monde Cargo, Cathay Pacific Cargo, China Airlines Cargo, EVA Air Cargo, et LAN Cargo. Il a deux complexes de fret : l'aérogare de fret du Nord, situé près du terminal E et Cargo du Sud, situé près du terminal A.

Transports au sol

L'aéroport international Logan de Boston a reçu l’appellation de « Ville la plus facile pour se rendre à l'aéroport » dans un article de 2007 d'aviation.com en raison de la variété du choix pour se rendre ou quitter l'aéroport[84]. Ces choix comprennent les voitures, les taxis, les lignes MBTA bleue et argent, les services de bus régionaux, les fourgonnettes de transport partagé, des limousines et un service offert par quelques aéroports américains, le Logan express. Logan est 3 milles (4,828032 km) au nord-est du centre-ville de Boston, ce qui est un avantage par rapport aux aéroports d'autres villes.

Accidents et incidents

Accidents

Accident du vol 375 d'Eastern Air Lines.
  • Le à 17 h 40, le vol 375 d'Eastern Air Lines à destination de Philadelphie, un Lockheed L-188 Electra immatriculé N5533, s'écrase au décollage, faisant 62 morts et 10 blessés dont neuf graves parmi les 67 passagers et 5 membres d'équipage. Selon le Conseil national de la sécurité des transports (National Transportation Safety Board, NTSB), les moteurs no 2 et 4 avaient ingéré chacun au moins un oiseau et le moteur no 1 au moins huit. Cela a provoqué une mise en drapeau automatique de l'hélice et le moteur à l'arrêt, en même temps que les dommages aux moteurs 2 et 4 les ont empêché de fournir pleine puissance à ce stade critique du vol[85].
  • Le , à 17 h 10, un Vickers Viscount immatriculé N6592C de Northeast Airlines vol 120 en provenance de New York-LaGuardia est entré en collision avec un Douglas DC-6 N8228H de National Airlines vol 429, à destination de après son atterrissage à l'aéroport international de Logan. Le DC-6 ayant commencé à décoller sans avoir reçu l'autorisation de le faire. Les 45 occupants du Vickers et les 30 du DC-6 en sont sortis indemnes[86],[87].
  • Le à 11 h 08, le vol 723 de Delta Air Lines, un Douglas DC-9 immatriculé N975NE en provenance de Manchester (New Hampshire), a percuté une digue à l'aéroport Logan, causant la mort des 83 passagers et 6 membres d'équipage à bord. Un des passagers a survécu à l'accident mais est décédé plus tard dans un hôpital[88].
  • Le , le vol 160 de la Pan Am, un Boeing 707-321C (N458PA) en provenance de New York-JFK, s'est écrasé à l'approche de Boston-Logan. De la fumée dans le cockpit a causé une perte de contrôle de l'appareil. Les trois membres déquipage ont été tués[89].
  • Le , le vol 30 de World Airways, un McDonnell Douglas DC-10-30CF (N113WA) en provenance de Newark fait une approche aux instruments de non-précision pour la piste 15R et a atterri pieds 2800 ft (850 m) au-delà du seuil décalé sur une piste glacée. Lorsque l'équipage a senti que le DC-10-30-CF ne pouvait pas s’arrêter sur la piste restante, il a dirigé le DC-10 sur le côté de la piste pour éviter la rampe lumineuse d'approche, et a glissé dans l'eau peu profonde de Boston Harbor. Le nez séparé comme le DC-10 s'est immobilisé à 250 pieds (76 m) au-delà de la fin de la piste, à 110 pieds (34 m) à gauche de la ligne médiane prolongée. Deux passagers (un père et son fils) n'ont jamais été retrouvés et sont présumés avoir été emportés en mer. L'appareil transportait 200 passagers et 12 membres d'équipage[90].

Incidents

  • Le , une partie de l'aile sud du terminal E de l'aéroport a été évacuée lorqu'un engin incendiaire a déclenché un incendie dans les toilettes hommes du rez-de-chaussée[92].
Batterie brûlée du Boeing 787 de la Japan Airlines.
  • Dans la matinée du , deux des aéronefs impliqués dans les attentats du 11 septembre 2001, le vol 11 American Airlines, un Boeing 767-223ER, (immatriculé N334AA) ayant décollé à 7h59 à destination de Los Angeles et le vol 175 United Airlines, Boeing 767-200ER (immatriculé N612UA), décollé à 8h14 également à destination de Los Angeles. Les deux avions ont été détournés par des terroristes liés à Al-Qaïda et pris les commandes des avions et ont volé délibérément dans les tours Nord et Sud du World Trade Center de New York qui s'est traduit par l'effondrement des deux tours et la destruction du World Trade Center. United et American Airlines ont hissé des drapeaux américains sur les portes, B32 et C19, portes à partir desquelles les vols avaient embarqués. Le vol 11 avait 11 membres d'équipage, 76 passagers et 5 terroristes (pour un avion de 258 places)[93] et le vol 175, 9 membres d'équipage, 51 passagers et 5 terroristes[94].
  • Le , des mécaniciens ont aperçu de la fumée dans le compartiment de la batterie d'un Boeing 787 Dreamliner de la Japan Airlines en stationnement[96]. Cet incendie a été causé par des batteries lithium-ion surfacturés, pour aboutir finalement à son retrait de la flotte de B787 dans le monde entier[97] et la refonte ultérieure des systèmes de batteries[98].

Pour approfondir

Liens externes

Notes et références

Notes

  1. Une approche de précision aux instruments avec une hauteur de décision inférieure à 100 pieds (30 m) au-dessus de l'élévation de zone de toucher des roues, ou sans hauteur de décision et une portée visuelle de piste d'au moins 200 mètres (656 pieds)
  2. une approche et un atterrissage de précision aux instruments avec une hauteur de décision non inférieure à 200 pieds (61 m) au-dessus de l'élévation de zone de toucher des roues et avec soit une visibilité d'au moins 800 mètres (2 625 pieds) ou d'une portée visuelle de piste supérieure à 550 mètres (1 804 pieds)

Références

  1. Quid 11 septembre 2001
  2. (en) « History Boston Logan International Airport, Gateway to New England », sur massport.com (consulté le )
  3. (en) Official Airline Guide publié parAmerican Aviation Publications, Washington
  4. (en) Katie Johnston, « American pulls back at Logan », sur boston.com, The Boston Globe, (consulté le )
  5. (en) Dorothy Nelkin, Jetport : The Boston Airport Controversy, Transaction Publishers, , 197 p. (ISBN 0-87855-591-9, lire en ligne), p. 80-82
  6. (en) Michael S. Rosenwald et Sean P. Murphy, « Judge allows long-fought runway at Logan », sur boston.com, (consulté le )
  7. (en) Paysha Stockton Rhone, « Taxiway plan upsets neighbors », sur boston.com, (consulté le )
  8. (en) « Taxiway de Logan Airport » [PDF], Federal Aviation Administration, (consulté le )
  9. (en) « World's largest passenger plane at Logan »(Archive.orgWikiwixArchive.isGoogle • Que faire ?), whdh.com, (consulté le )
  10. (en) « Boston Logan (BOS) Airport », sur ifly.com (consulté le )
  11. (en) « General Edward Lawrence Logan International Airport, Boston, Massachusetts, USA », sur airnav.com (consulté le )
  12. (en) « About Logan », sur massport.com (consulté le )
  13. (en) « Traveling Between Terminals », sur massport.com (consulté le )
  14. (en) Keith Reed, « Smooth akeoff for Terminal A », The Boston Globe, (consulté le )
  15. (en) « Boston Logan International Airport Interactive Terminal Map »(Archive.orgWikiwixArchive.isGoogle • Que faire ?), massport.com, (consulté le )
  16. (en) « Logan International Airport Expansion, Boston, Massachusetts, United States of America », airport-technology.com, (consulté le )
  17. (en) « Environmental Assessment: Renovations and Improvements at Terminals B & C/E at Boston Logan International Airport » [archive du ] [PDF], massport.com, (consulté le )
  18. (en) « Logan International (BOS) » [archive du ] [PDF], Gresham, Smith & Partners, (consulté le )
  19. (en) « Massport approves $54 million in additional funds for Terminal B renovation », The Boston Globe, (consulté le )
  20. (en) « Terminal C Checkpoint Opens and Eases Passenger Connections » [archive du ], massport.com, (consulté le )
  21. (en) Peter Howe, « Attention Logan passengers: starting Wed. no more Terminal D »(Archive.orgWikiwixArchive.isGoogle • Que faire ?), boston.com, (consulté le )
  22. (en) « Lounges Gold Circle », Aer Lingus (consulté le )
  23. (en) « Virgin Atlantic Clubhouse », Virgin Atlantic (consulté le )
  24. « AerLingus W19 Shannon - Boston aircraft changes » [archive du ], sur Routesonline (consulté le )
  25. « Air Canada Announces New U.S. Transborder Routes and Services from Montreal, Calgary and Vancouver next Summer », Newswire (consulté le )
  26. « Flight Schedules » [archive du ], Air Canada (consulté le )
  27. « Air France flight schedule » [archive du ], Air France (consulté le )
  28. « Flight Timetable » [archive du ] (consulté le )
  29. « Allegiant Announces Largest Service Expansion In Company History With 3 New Cities And 44 Nonstop Routes », Allegiant Airlines
  30. « Allegiant Air Route Announcements » (consulté le )
  31. Daniel Salazar, « Austin getting more flights to Silicon Valley, Boston, Mexico » (consulté le )
  32. « Wow: American Increasing Flights To South America » [archive du ], sur One Mile at a Time, (consulté le )
  33. « Flight schedules and notifications » [archive du ] (consulté le )
  34. « American Airlines adds nonstop flight from Indy to Boston », WTHR, (lire en ligne, consulté le )
  35. « American Airlines expands Boston / Asheville service in S20 », Routes Online, (consulté le )
  36. (en) kristi-palma, « American Airlines will begin seasonal, nonstop service to Key West in 2020 », sur Boston.com, (consulté le ).
  37. « Austrian Airlines: Boston statt Miami »
  38. « Schedules » [archive du ], Azores Airlines (consulté le )
  39. Eric Anderson, « Airport officials seek more flights », Times Union, (lire en ligne [archive du ], consulté le )
  40. « Timetables » [gb archive du ], British Airways (consulté le )
  41. « Where we fly - Cabo Verde Airlines » (consulté le )
  42. « Cape Air - Where We Fly » [we fly/index.html archive du ] (consulté le )
  43. « Flight Timetable » [CA/book-a-trip/timetable.html archive du ], Cathay Pacific (consulté le )
  44. « Flight Schedule » [archive du ], Copa Airlines (consulté le )
  45. « Delta, Virgin Atlantic boost summer flying between U.S. and U.K. in 2020 » [archive du ], sur Delta News Hub (consulté le )
  46. « Delta continues international growth with new Boston-Rome flight, expanded service to 10 trans-Atlantic destinations » [archive du ], Delta NewsHub, (consulté le )
  47. « FLIGHT SCHEDULES » [archive du ] (consulté le )
  48. « Flight Schedule » [archive du ], El Al (consulté le )
  49. « Flight Schedules » [offers/timetables/flightschedule.aspx archive du ], Emirates (consulté le )
  50. « Frontier adding 18 nonstop routes, including new flights to Caribbean, El Salvador and Guatemala » [archive du ], sur USA Today (consulté le )
  51. https://fox43.com/2020/01/29/frontier-airlines-will-offer-non-stop-flights-to-boston-chicago-and-la-from-philadelphia-international-airport/
  52. « Frontier » [archive du ] (consulté le )
  53. « Flight Schedule » [SITE=INT&SITE=CBHZCBHZ&LANGUAGE=GB&PAGE=TITA archive du ], Hainan Airlines (consulté le )
  54. « Hawaiian Airlines Flight Schedule » [archive du ] (consulté le )
  55. Hosteltur, « Iberia refuerza su apuesta por EEUU - Transportes » [iberia-refuerza-su-apuesta-eeuu.html archive du ], sur Hosteltur: Toda la información de turismo (consulté le )
  56. « Flight Schedule » [archive du ], Icelandair (consulté le )
  57. « Japan Airlines Timetables » [archive du ] (consulté le )
  58. http://blueir.investproductions.com/investor-relations/press-releases/2020/01-16-2020-191853268
  59. « Jetblue route map » [archive du ] (consulté le )
  60. « Timetable - KLM » [en/prepare for travel/up to date/timetable/timetable result.htm archive du ] (consulté le )
  61. « Flight Status & Schedules » [archive du ] (consulté le )
  62. « Flight Status - LATAM Airlines » [nz/apps/personas/flightstatus/ archive du ] (consulté le )
  63. « Flight arrivals and depatures » [archive du ], (consulté le )
  64. « Timetable - Lufthansa Canada » [archive du ], Lufthansa (consulté le )
  65. « Interactive Route Map » [archive du ] (consulté le )
  66. « Flight timetable » [archive du ] (consulté le )
  67. « Route map » [archive du ], Royal Air Maroc (consulté le )
  68. Anders Carlsson, « Flygtorget » Flygnyheter » Flygnyheter » Boston försvinner när SAS justerar långlinjeprogrammet » [archive du ], Flygtorget.se, (consulté le )
  69. « Route Map » [archive du ], Silver Airways, (consulté le )
  70. « Check Flight Schedules » [archive du ] (consulté le )
  71. « Where We Fly » [archive du ], Spirit Airlines (consulté le )
  72. « Sun Country adds 12 nonstop routes, including new flights from Baltimore, Cleveland », sur USA Today, (consulté le )
  73. « Route Map & Flight Schedule » [archive du ] (consulté le )
  74. « Timetable » [archive du ] (consulté le )
  75. Jim Liu, « TAP Air Portugal reprend le Ponta Delgada - Boston service from juin 2020 », Routesonline, (lire en ligne, consulté le )
  76. « All Destinations » [archive du ], TAP Portugal (consulté le )
  77. « East Coast Charter by Tradewind » [archive du ] (consulté le )
  78. « Online Flight Schedule » [archive du ], Turkish Airlines (consulté le )
  79. « Timetable » [archive du ] (consulté le )
  80. « Interactive flight map » [archive du ] (consulté le )
  81. « WestJet adds Boston to Calgary hub », Cision (consulté le )
  82. « Flight schedules » [archive du ] (consulté le )
  83. (en) Michael B. Farrell, « 29 million travelers set Logan record », sur bostonglobe.com, (consulté le )
  84. (en) George Hobica, « The top 10 easiest U.S. airports to get to », sur nbcnews.com, (consulté le )
  85. (en) « Crash Eastern Airlines 375 », sur aviation-safety.net, (consulté le )
  86. (en) « Vickers Viscount N6592C », sur aviation-safety.net, (consulté le )
  87. (en) « Douglas N8228H », sur aviation-safety.net, (consulté le )
  88. (en) « Delta Air Lines flight 723 », sur aviation-safety.net, (consulté le )
  89. (en) « Pan AM flight 160 », sur aviation-safety.net, (consulté le )
  90. (en) « World Airways flight 30 », sur aviation-safety.net, (consulté le )
  91. (en) « Plane wreked by blast », sur The Telegraph, (consulté le )
  92. (en) Ben Bradlee, « Incendiary device triggers Logan fire », sur The Boston Globe, (consulté le )
  93. (en) « American Airlines Flight 11 », sur wtc7.net (consulté le )
  94. (en) « United Ailines Flight 175 », sur wtc7.net (consulté le )
  95. (en) Cathy Booth Thomas, « The Flight Attendants: Courage in the Air », sur time.com, (consulté le )
  96. (en) « Fire Breaks Out In Parked Japan Airlines 787 Dreamliner At Logan Airport », sur boston.cbslocal.com, (consulté le )
  97. (en) « For Immediate Release », sur Federal Aviation Administration, (consulté le )
  98. (en) Christopher Drew et Jad MouawadD, « Boeing Fix for Battery Is Approved by F.A.A. », sur New York Times, (consulté le )
  • icône décorative Portail de l’aéronautique
  • icône décorative Portail de Boston
Cet article est issu de Wikipedia. Le texte est sous licence Creative Commons – Attribution – Partage à l’identique. Des conditions supplémentaires peuvent s’appliquer aux fichiers multimédias.