Typhon Babs (1998)
Le super typhon Babs (typhon Loleng aux Philippines) est un cyclone tropical qui a causé de gros dégâts aux Philippines et à Taïwan en . Le typhon a tué plus de 300 personnes. Une perturbation tropicale s'est développée à l'est-sud-est de Guam le , quatre jours seulement après le passage du typhon Zeb dans la même région. Babs s'est formé le entre les Philippines et Guam. La tempête s'est d'abord déplacée vers l'ouest, ne s'intensifiant pas initialement en raison de l'écoulement du typhon Zeb vers le nord-ouest. Babs a ralenti et s'est brièvement tourné vers le sud avant d'avancer vers le nord-ouest, après quoi il s'est rapidement intensifié en un puissant typhon. Le , l'Agence météorologique du Japon (JMA) a estimé des vents de pointe sur 10 minutes à 155 km/h, tandis que le Joint Typhoon Warning Center (JTWC) a estimé des vents de pointe sur 1 minute à 250 km/h, faisant de Babs un super typhon. La tempête a frappé l'île philippine de Catanduanes à cette intensité et s'est légèrement affaiblie avant de frapper Luzon. Babs a tourné vers le nord une fois dans la mer de Chine méridionale, s'affaiblissant plus tard en raison de conditions défavorables et se transformant en cyclone extratropical le dans le détroit de Taïwan.
|
Typhon Babs
| ||||||||
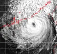
Typhon Babs à son intensité maximale. | ||||||||
| Apparition | 14 octobre 1998 | |||||||
|---|---|---|---|---|---|---|---|---|
| Dissipation | 30 octobre 1998 | |||||||
| (Tempête post/extra-tropicale à partir du 27 octobre 1998) | ||||||||
| Catégorie maximale | Typhon catégorie 4 | |||||||
| Pression minimale | 940 hPa | |||||||
| Vent maximal (soutenu sur 1 min) |
250 km/h | |||||||
| Dommages confirmés | 203 millions $US (1 998) | |||||||
| Morts confirmés | 327 (29 disparus) | |||||||
| Blessés confirmés | N/D | |||||||
| Zones touchées | Philippines, Taïwan, Chine, Japon | |||||||
Trajectoire de Babs.
| ||||||||
| Saison cyclonique 1998 dans l'océan Pacifique nord-ouest | ||||||||
Évolution météorologique
Une perturbation tropicale s'est développée à l'est-sud-est de Guam le , quatre jours seulement après le passage du typhon Zeb dans la même région. Le Joint Typhoon Warning Center américain (JTWC) a émis une alerte de formation de cyclone tropical le , indiquant que le développement était imminent[1]. Cependant, le système ne s'est transformé en dépression tropicale qu'à 6 h UTC le selon une analyse de l'Agence météorologique japonaise[2]. Trois heures plus tard, le JTWC a commencé à suivre le système sous le nom de Tropical Depression 20W[1]. La tempête s'était déplacée alors depuis au sud de Guam et passait au nord de Palau[3]
La dépression s'est déplacée vers les Philippines mais initialement le développement a été entravé par le flux sortant du typhon Zeb, qui avait frappé Luçon et se déplaçait vers le nord[3]. Cependant, la dépression a pu s'intensifier en une tempête tropicale le , date à laquelle le JTWC l'a nommé Babs. Plus tard dans la journée, la tempête est entrée dans la zone de responsabilité de PAGASA, l'agence météorologique philippine, qui lui a donné le nom local Loleng[4]. Le , un creux tropical d'altitude au nord-est a affaibli la crête subtropicale, faisant ralentir Babs et dériver vers le sud[1]. Le creux s'est affaibli et le cisaillement a diminué le lendemain, permettant à la tempête de se renforcer[1],[3].
Le , un navire à proximité de Babs a signalé des vents soutenus de 96 km/h sur 10 minutes, indiquant que la tempête s'intensifiait[3]. À 0 h UTC, le JTWC a rehaussé la tempête au niveau de typhon et le JMA a emboîté le pas 18 heures plus tard[1],[2]. Babs s'est rapidement intensifié par la suite, développant un œil bien défini de 15 km de diamètre[3]. À 12 h UTC le , le JMA a estimé que le typhon avait des vents soutenus dur 10 minutes de 155 km/h tandis que le JTWC a estimé des vents de pointe sur 1 minute de 250 km/h, en faisant l'équivalent d'un ouragan de catégorie 4 dans l'échelle de Saffir-Simpson[1],[2]. Les vents de force de coup de vent s'étendaient jusqu'à 335 km au nord-est du centre au moment où Babs a touché terre sur l'île de Catanduanes et une station météorologique a enregistré une pression barométrique minimale de 928 hPa à Virac[3]. Cependant, la pression la plus basse officielle du JMA fut de 940 hPa[2].
Les vents ont légèrement diminué au fur et à mesure que Babs traversait Catanduanes, bien qu'il se soit rapidement déplacé au-dessus de la baie de Lamon où il a frappé l'île Polillo. Selon le JTWC, le typhon s'était affaibli à des vents de 175 km/h le avant de s'intensifier rapidement revenir à des vents de 215 km/h à l'approche de Luçon. À 18 h UTC le , le centre a touché Luzon à environ 45 km au sud de Baler, soit 185 km au sud de l'endroit où Zeb avait frappé seulement huit jours auparavant.
Le typhon s'est encore affaibli en traversant le centre de Luzon et il est passé à environ 75 km au nord de Manile avant d'émerger dans la mer de Chine méridionale le [1],[3]. À ce moment-là, le JMA avait temporairement rétrogradé Babs au rang de tempête tropicale[2]. Pendant plusieurs jours, Babs est resté à la même intensité, arborant un œil avec une large zone de vents violents. Un creux barométrique a progressivement dirigé la tempête vers le nord, affaiblissant la crête subtropicale[3]. Le même creux a provoqué une augmentation du cisaillement du vent qui a conduit à l'affaiblissement de Babs[1].
La tempête a atteint son point le plus à l'ouest le à environ 275 km au sud-est de Hong Kong. Tournant vers le nord-est dans le détroit de Taïwan, un cisaillement du vent encore plus fort a provoqué l'affaiblissement rapide de Babs en dépression tropicale juste au large de la côte sud-est de la Chine[1]. Le , le JMA a déclaré que Babs était devenu extratropicale. Les restes ont accéléré vers le nord-est, passant au sud de Kyushu avant de se dissiper le [2].
Conséquences
Philippines
Lorsque Babs s'est déplacé sur Catanduanes, la station météorologique de Virac a enregistré des rafales de vent de 260 km/h. À Daet, Camarines Norte, près de la dernière frappe aux Philippines, les rafales étaient de 185 km/h. Plus au nord, sur Luçon, Babs a produit des rafales de 192 km/h à Baler[3]. Le typhon a également donné des pluies torrentielles qui ont provoqué des inondations et des glissements de terrain[5]. Sur le mont Pinatubo, les pluies ont entraîné un glissement de terrain de 1,5 m de hauteur composé de matériaux volcaniques, bien que les rivières voisines au stade d'inondation l'aient contenu[3]. Les travailleurs aux barrages de Ambuklao et Bingales ont dû ouvrir les vannes après la tempête ce qui a inondé les rizières et les étangs à poissons le long de le fleuve Agno[6]. Ailleurs, des rivières à Camarines Sur ont inondé 24 villes[7]. Cinq villes de la province de Rizal ont été inondées le long d'un lac, dont environ 70 % de la ville d'Angono[8]. Les inondations ont également affecté des parties de Manille[9].
Tout comme le typhon Zeb quelques jours plus tôt, Babs a été très destructeur pour les Philippines, principalement dans tout Luçon et dans les Visayas[10]. Sur Catanduanes où il a frappé en premier, plusieurs heures de pluie torrentielle dans les collines ont fait monter la rivière Bato de 9 m ce qui a atteint la hauteur des toits des maisons dans certaines régions. La plupart ont perdu leurs toits et beaucoup ont subi des dommages aux murs, emportant les meubles et d'autres biens. Environ 80 % des bâtiments de la ville de Virac ont été détruits et les vents étaient suffisamment forts pour faire tomber les climatiseurs des fenêtres[11]. Il y a eu une panne d'électricité à l'échelle de l'île car la mer déchaînée a emporté une barge sur laquelle se trouvait la génératrice d'électricité. À Masbate, un glissement de terrain a fait s'effondrer l'entrée d'une grotte d'extraction d'or, et 14 des 25 membres d'équipage ont été secourus[12]. De hautes vagues ont détruit 125 maisons à Catbalogan sur l'île de Samar, tandis que trois pêcheurs ont dû être sauvés[7].
Ailleurs le long de sa trajectoire, les vents violents ont causé des pannes de courant généralisées pendant plusieurs jours[13]. De nombreuses routes et autoroutes ont été inondées pendant des jours ou bloquées par des glissements de terrain, plusieurs ponts ont aussi été détruits[6]. Dans la région de Bicol du sud de Luçon, la tempête a renversé de nombreux cocotiers et les inondations ont endommagé environ 88 000 ha de rizières à Nueva Ecija[3],[6]. Dans tout le pays, la tempête a détruit 222 882 tonnes de riz. Les dommages agricoles ont été estimés à 54 millions $US[10].
Dans l'ensemble, Babs a détruit 96 581 maisons et endommagé 307 042 autres, laissant environ 130 000 personnes sans abri[5],[10]. Il y a eu 303 morts aux Philippines avec 751 autres blessés, principalement dans la région de Bicol[10]. Cela comprenait 71 décès à Catanduanes et 41 à Camarines Sur. La plupart des décès étaient liés à des glissements de terrain, des inondations, des électrocutions, des morsures de serpent et des accidents de nettoyage[3]. Sur Catanduanes, les résidents ont creusé des fosses communes en raison du nombre élevé de morts. Les dommages totaux ont été estimés à 159 millions $US en 1998 ( 249 millions $US maintenant), ce qui en faisait toujours en 2011 le 9e typhon le plus coûteux aux Philippines et le 5e le plus coûteux dans le bassin pacifique[10],[14].
Taïwan

Les restes de Babs en train de se dissiper ont interagi avec la mousson d'hiver pour laisser de fortes accumulation de pluie sur Taïwan, en particulier le nord et l'est de l'île. La ville de Yilan a enregistré 1 306 mm sur trois jours et la ville de Hualien a reçu 949 mm, une station a même enregistré 508 mm en 24 heures[15].
Toute cette pluie a causé des inondations dans l'est de Taïwan, atteignant, jusqu'à la taille dans certains endroits, et qui ont forcé des centaines de personnes à quitter leur maison[1]. Les pluies ont également causé des glissements de terrain qui ont isolé des villages et la rivière Keelung gonflée a coupé deux villes à l'est de Taipei[1]. La tempête a tué trois personnes sur l'île, dont un pêcheur emporté par de hautes vagues et un couple enseveli sous un glissement de terrain[3].
Hong Kong
En raison de l'interaction entre la mousson et Babs, Hong Kong a enregistré une rafale maximale de 121 km/h à deux endroits et les vents soutenus les plus forts de 87 km/h ont été signalés au sommet du Tate's Cairn. Les vents étaient assez forts pour abattre des arbres et endommager des échafaudages[5]. Les plages ont été fermées pendant le passage de la tempête et les bateaux sont sortis de la tempête au port[16]. Les précipitations du typhon sont tombées sur une période de trois jours, atteignant une accumulation totale de 85 mm. Cinq surfeurs ont dû être sauvés en haute mer et de l'onde de tempête de 0,91 m. Il y a eu 14 blessures liées à Babs sur le territoire[5].
Chine
De l'autre côté du détroit de Taïwan, Babs a tué cinq personnes et en a blessé trois autres dans la province chinoise du Fujian[3]. À Zhangzhou, la tempête a endommagé ou détruit 124 bateaux[17]. De fortes pluies ont détruit 1 461 maisons ou serres, avec des dommages estimés à 58 millions $US de 1998 ( 91 millions $US maintenant)[18]. Les dommages étaient concentrés dans le Fujian, avec peu d'effets signalés dans le Jiangxi ou le Guangdong voisins[17].
Japon
Les restes ont également apporté des précipitations dans le sud du Japon, y compris à Okinawa. Les précipitations ont atteint 172 mm à Yonagunijima et les vents 43 km/h[19]. De hautes vagues ont inondé une partie de la route 58 à Okinawa , endommageant trois véhicules et inondant 28 bâtiments. La tempête a également causé un glissement de terrain sur l'île[20].
Aide
Quelques jours après que Babs ait frappé les Philippines, le président philippin de l'époque, Joseph Estrada, a déclaré quatre provinces en état d'urgence et a ordonné le déblocage de 200 millions de peso philippins (₱) d'un fonds d'aide[21]. Estrada a ajouté plus tard 50 millions ₱ supplémentaires spécifiquement pour Catanduanes, ainsi que 10 000 ₱ envoyés à la famille de chaque victime de tempête[22]. La marine philippine a envoyé des bateaux pneumatiques à Bato, Catanduanes pour participer à l'aide. Le président a ordonné aux agences de travailler ensemble pour répondre à la catastrophe et à son secrétaire au Commerce de surveiller les hausses de prix[21]. Cependant, les prix des aliments a triplé après Babs et Zeb, en particulier après que les routes aient été bloquées dans les zones agricoles et que les traversiers des zones non touchées furent suspendus en raison de la tempête[6].
Les travailleurs humanitaires nationaux ont d'abord été incapables de distribuer la nourriture et les médicaments en raison de l'arrêt du service de traversier[13]. De nombreuses provinces et îles ont été isolées, nécessitant l'hélicoptère pour être atteintes[12]. Le ministère des Travaux publics et des Routes a travaillé rapidement pour éliminer les glissements de terrain et rouvrir les routes fermées[7]. L'Autorité nationale de l'alimentation du pays a fourni environ 73 000 sacs de riz aux victimes de la tempête, et le pays a prévu d'importer 300 000 tonnes de riz pour compenser aux pertes agricoles[22],[23]. La Croix-Rouge philippine a déployé des équipes de recherche et de sauvetage et a distribué de la nourriture et du café à 35 500 personnes[24]. Le Mouvement international de la Croix-Rouge et du Croissant-Rouge a lancé une demande mondiale d'assistance d'une valeur d'environ 2,2 millions $US pour aider 240 000 personnes[25].
Références
- W. Tyson Aldinger et Wendell Stapler, Joint Typhoon Warning Center, Super Typhoon Babs (20W), United States Navy, (lire en ligne [PDF]), p. 88-90.
- (en) RSMC Best Track Data (Text) 1990-1999 (rapport), Japan Meteorological Agency (lire en ligne, consulté le ) Modèle:TXT
- (en) Gary Padgett, « Monthly Global Tropical Cyclone Summary October 1998 », Australia Severe Weather, (lire en ligne, consulté le ).
- (en) « 1998 PAGASA Tropical Cyclone Track Data - Typhoon Loleng », (consulté le ).
- (en) « Tropical Cyclones in 1998 » [PDF], Observatoire de Hong Kong (consulté le ).
- (en) Sol Jose Vanzi, « Food Prices Triple as Floods Paralyze Luzon, Visayas », Philippine Headline News, (lire en ligne, consulté le ).
- (en) Sol Jose Vanzi, « Bsbs: Bicol Towns, Roads Submerged by Swollen Rivers », Philippine Headline News, (lire en ligne, consulté le ).
- (en) Sol Jose Vanzi, « Massive Floods as Babs Floods Metro-Manila, Rizal », Philippine Headline News, (lire en ligne, consulté le ).
- (en) Associated Press, « Typhoon Babs heads for southern China; at least 119 dead in Philippines », Lexis Nexis, .
- (en) National Disaster Coordinating Council, « Destructive Typhoons 1970-2003 », Manile, Philippines, Governement des Philippines, (version du sur Internet Archive).
- (en) Sol Jose Vanzi, « Worst Typhoon to Hit Catanduanes in Living Memory », Philippine Headline News, (lire en ligne, consulté le ).
- (en) Sol Jose Vanzi, « 'Babs' Death Toll Tops 145 and Climbing, Destruction Massive », Philippine Headline News, (lire en ligne, consulté le ).
- (en) Sol Jose Vanzi, « Typhoon 'Babs' Cuts off Power, Grounds Ferries », Philippine Headline News, (lire en ligne, consulté le ).
- (en) « Second National Communication to the United Nations Framework Convention on Climate Change » (consulté le ), p. 8.
- (en) Chun-Chieh Wu, Kevin Cheung et Ya-Yin Lo, « Numerical Study of the Rainfall Event due to the Interaction of Typhoon Babs (1998) and the Northeasterly Monsoon », Monthly Weather Review, vol. 137 numéro=7, , p. 2049–2064 (DOI 10.1175/2009MWR2757.1, Bibcode 2009MWRv..137.2049W).
- (en) Associated Press, « Typhoon Babs belts Taiwan and Hong Kong », Deseret News, (lire en ligne, consulté le ).
- (en) Agence France-Presse, « Typhoon Babs claims five lives in China », Lexis Nexis, .
- (en) Xinhua, « Typhoon Babs Claims Five Lives in Fujian », Lexis Nexis, .
- (en) Digital Typhoon, « Typhoon 199811 (Babs) » (consulté le ).
- (en) Digital Typhoon, « Weather Disaster Report (1998-936-16) » (consulté le ).
- (en) Sol Jose Vanzi, « Typhoon Damage: P200-M Calamity Funds Released », Philippine Headline News, (lire en ligne, consulté le ).
- (en) Sol Jose Vanzi, « ERAP Inspects Bicol Damage, Grants P50-M for Catanduanes Rehab », Philippine Headline News, (lire en ligne, consulté le ).
- (en) Agence France-Presse, « Philippines to import 300,000 tonnes of rice », Lexis Nexis, .
- (en) « Philippine: Typhoon & Floods » [PDF], Mouvement international de la Croix-Rouge et du Croissant-Rouge, (consulté le ).
- (en) Agence France-Presse, « Red Cross seeks international aid for Philippine typhoon victims », LexisNexis, .
- Portail de la météorologie
- Portail des Philippines
- Portail de Taïwan
- Portail de la Chine

