Hôtel des Menus-Plaisirs (Paris)
L'hôtel des Menus-Plaisirs était le siège de l'Intendance de l'Argenterie, Menus Plaisirs et Affaires de la Chambre du roi, remplacée en 1824 par la création des Beaux-Arts. Il était situé dans l'actuel 9e arrondissement de Paris.
Situation
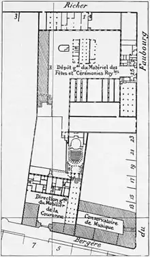
L'hôtel occupait un large quadrilatère allant de la rue Richer au nord, la rue du Faubourg-Poissonnière à l'est, la rue Bergère au sud et les parcelles ouest de la rue du Conservatoire[1].

Historique
L'hôtel des Menus-Plaisirs est construit en 1763 sur la rue du Faubourg-Poissonnière.
Entrepôt pour le matériel des cérémonies et des divertissements de la cour de France, de 1825 à 1852 il abrite le garde-Meuble de la Couronne. L'immeuble accueillit ensuite l'École royale de chant et de déclamation puis le Conservatoire de musique et de déclamation entre 1784 et 1911 (date de l'emménagement du Conservatoire dans les locaux de la rue de Madrid). Lors de la scission entre le Conservatoire de musique et le Conservatoire d'art dramatique en 1946, celui-ci fut installé à nouveau dans ce qui restait alors de l'hôtel des Menus-Plaisirs. Le Conservatoire national supérieur d'art dramatique se trouve toujours dans ces bâtiments aujourd'hui circonscrits entre les rues Bergère, Sainte-Cécile et du Conservatoire.
Sur l'emplacement d'un théâtre attenant servant aux répétitions des spectacles joués pour le roi fut construite en 1811 la Salle du Conservatoire à l'acoustique incomparable dans laquelle fut donné en 1828 le premier concert de l'Orchestre de la Société des concerts du Conservatoire. Elle est aujourd'hui utilisée, après avoir subi une restauration la rendant inutilisable pour les concerts, par le Conservatoire national supérieur d'art dramatique.
La rue du Conservatoire et une partie de la rue Sainte-Cécile ont été percées à l'emplacement d'une partie de l'hôtel.
Notes et références
- « Plateforme de webmapping ALPAGE », sur Analyse diachronique de l'espace urbain parisien : approche géomatique (ALPAGE) (consulté le ).
- Portail de Paris
- Portail de la musique classique
- Portail du théâtre